I’ve been posting Sherman updates on Fridays for the past few weeks but this week it had to be done a day earlier because I can’t hold in the good news anymore.
On Monday Sherman went to work with me where we repeated chest films to see how the pneumothorax and pleural effusion was going.
Here’s what the radiologist had to say:
“The current radiographs reveal no evidence of significant thoracic pathology. There is NO evidence of pneumothorax, pleural effusion, or significant lung pathology.”
What does that mean in regular language?
Sherman is all better!
WOOOO-HOOOO
We still don’t know why this happened to Sherman. The vet doesn’t know, the radiologist doesn’t know and I don’t know.
It’s unclear if this is now considered spontaneous pneumothorax, since there is no underlying lung disease, but it happened for no reasons, or if he had traumatic pneumothorax and it happened for a reason we just didn’t know it. Traumatic pneumothorax usually happens when there is some sort of trauma to the chest like being hit by a car. Well we know that Sherman was not hit by a car, but did he fall going up the stairs and we just didn’t know it?
Maybe. But at this time we will never know.
Ready for more good news?
Sherman’s kidney and liver enzymes are back in the normal range!
WOOOO-HOOOO
Again, we have no idea why they went out of whack, but they did and now they are back to where they are suppose to be!
So is there anything that we do know for sure about Sherman?
We were able to take some unsedated x-rays of his knees on Monday too and those x-rays show that his right stifle has arthritis and effusion, which is consistent with cranial cruciate ligament instability. His left stifle appears normal in the x-ray. Keep in mind though that these were not the best stifle x-rays because Sherman was NOT sedated and we couldn’t position them as good as one would with a sedated dog.
Now for the fun part!!
Well it’s fun for me, but it might be boring for you.
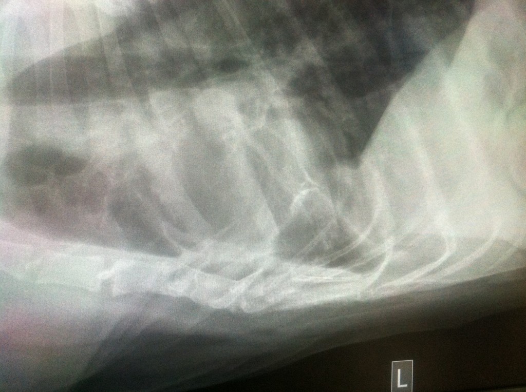
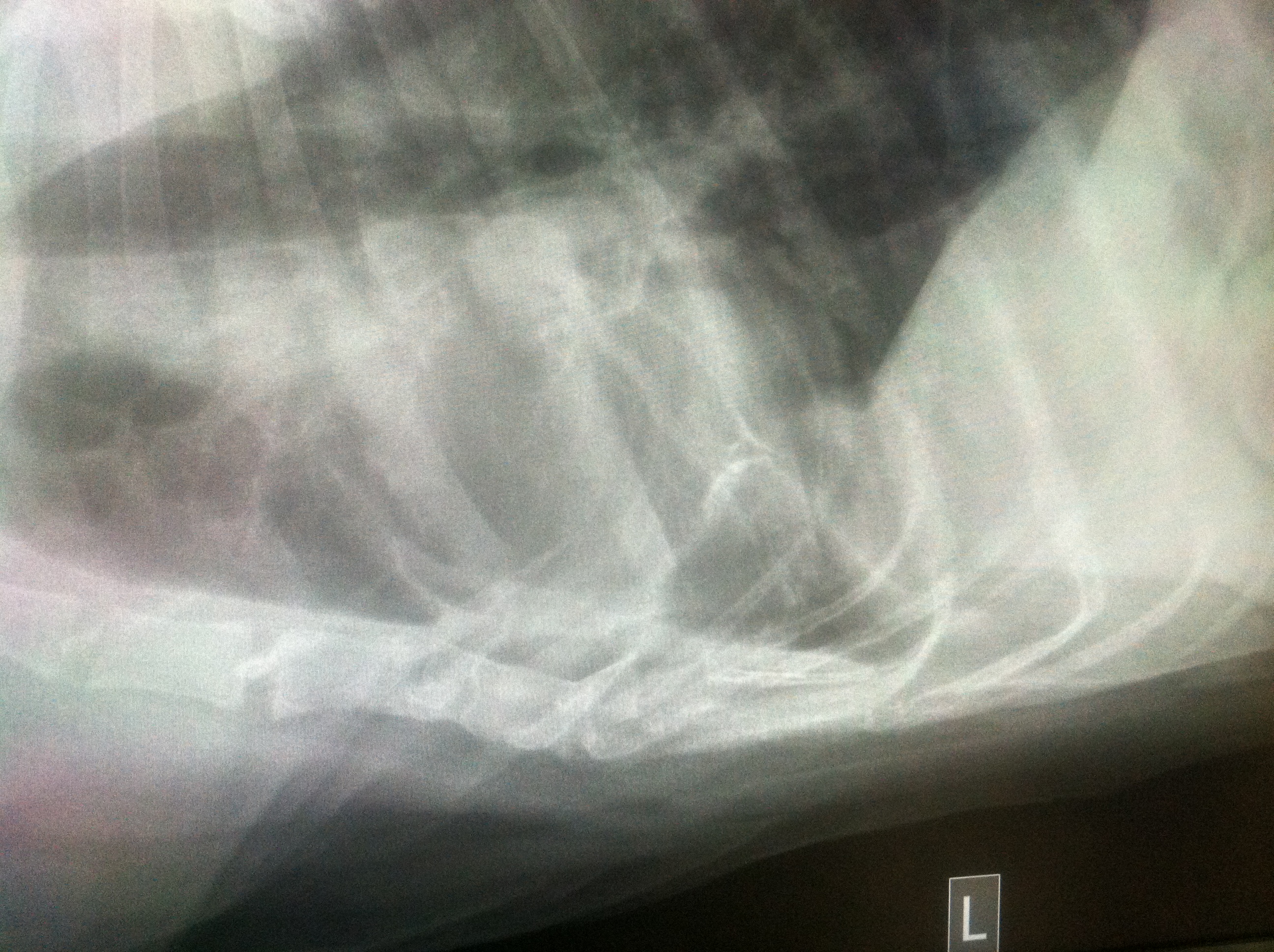
I took some pictures of Sherman’s x-rays over the past month so you can see the difference in his chest.
(these are pictures of the chest x-rays that I took from my iPhone. I was too lazy to upload them to a disc so they did lose some of their clarity)
WEEK 1
WEEK 2
WEEK 3
I am not going to act like I know a lot about what these x-rays are showing because reading x-rays is not my forte, but I can tell you what was explained to me:
Pleural effusions appear on chest X-rays as white space at the base of the lung. Pleural effusion obscures the silhouette of the heart
It’s really hard to see Sherman’s lung in these small pictures but you can see the white space in the top two pictures and his heart has obvious loss of details compared to the 3rd x-ray.
Pnuemothorax means air in the chest cavity.
In the first 2 pictures there is mild pneumothorax in Sherman’s chest cavity.
Again, it’s hard to see in these pictures. Taking x-rays of the chest of a giant breed dog is no easy task. The x-rays plates just aren’t big enough to accommodate them.
And just so I can defend my craziness last week, here is an image of the big scary bump on his left rear leg.
So that’s it. That’s THE END of A Sherman Story.
There will hopefully be no more parts to this story!
As for Sherman’s torn cruciate, our team has met (Me, Husband and Mrs. Vet) and have decided at this time we are not going to pursue surgery. We will begin laser therapy soon and perhaps some underwater treadmill therapy as well. Surgery has not been ruled out, it is has just been put on the back burner for the time being.
I’d also like to thank everyone for their crossed paws, crossed fingers, positive thoughts and vibes and hugs during all of this. I honestly believe that is what got us through this in one piece.




The Scoop On Sherman's Laser Therapy - mybrownnewfies.com
Thursday 9th of May 2013
[...] same time we learned that he had a partial tear in his left knee. You can read all about it here, here, here AND [...]
Jen
Saturday 26th of January 2013
Thank you so much! I'm so glad to hear that you believe in the laser and the A-trac stability brace is working for Gibson and I can't wait to read the updates!! I'll be keeping my fingers crossed for Gibson!
FiveSibesMom
Saturday 26th of January 2013
Woo! So very happy for Sherman's good news! Good luck with the treatment for his CCL - we're doing the same with Gib with not doing surgery and doing the laser (which I really, really believe in) and has the A-trac stability brace now on for a solid week...I'll keep posting on how he's doing, but he has adjusted to it really well. Keeping all fingers and paws crossed for Sherman, too! Sending lots of hugs his (and your) way!
Karen Friesecke
Friday 25th of January 2013
So happy that Sherman is all better now! I'll be interested to see how the cold laser treatments work.
Jen
Friday 25th of January 2013
Thanks Karen! I'm interested to see about the cold laser too!
Nichole
Friday 25th of January 2013
WOO HOO - wonderful news!!! YAY!
Jen
Friday 25th of January 2013
Thanks Nichole! So happy:)))